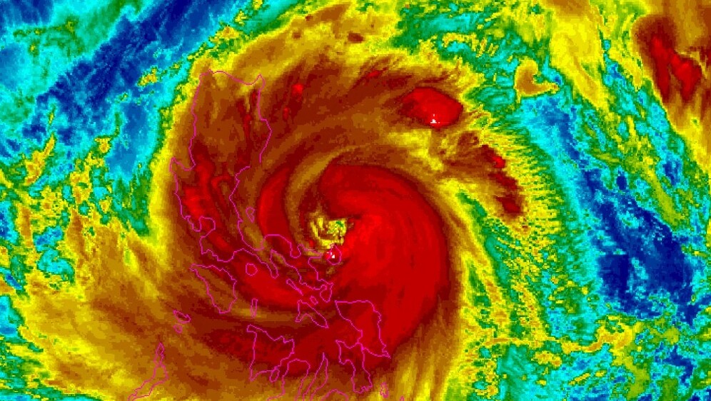
Više od 100.000 ljudi evakuirano je iz istočnih i sjevernih područja Filipina dok se najnovija oluja koja je pogodila zemlju – Fung-wong – u nedjelju pretvorila u supertajfun. Sa stalnim vjetrovima od 185 km/h i naletima do 230 km/h, supertajfun čiji promjer pokriva gotovo cijelu zemlju, prijeti obilnim kišama, razornim vjetrovima i olujnim valovima.
masovna mobilizacija?
Stižu im hitni pozivi usred noći, šalju ih na granicu: "Odbijanje ne prihvaćaju, svi se stavljaju pod oružje"
Potraga u tijeku
Autobus s turistima propao kroz led najdubljeg jezera na svijetu: Samo jedan se uspio spasiti
s još dvojicom
Noćna drama: Pijani 12-godišnjak očevim autom udario više vozila, pobjegao s mjesta nesreće
U velikim dijelovima zemlje proglašena su upozorenja na oluju, a dijelovi na istoku već su ostali bez električne energije. Otkazano je više od 300 domaćih i međunarodnih letova, objavio je državni regulator civilnog zrakoplovstva.
Neke fotografije koje je podijelila filipinska obalna straža u pokrajini Camarines Sur prikazuju evakuirane osobe kako nose torbe i osobne stvari dok prelaze s dugih, uskih putničkih čamaca na kamione koji ih čekaju. U obalnoj pokrajini Aurora, gdje se očekuje da će Fung-wong stići kasno u nedjelju ili rano u ponedjeljak ujutro, spasioci su išli od vrata do vrata potičući stanovnike da se upute na viši teren, izvijestio je Guardian.
"Očekuje se da će Fung-wong donijeti oko 200 mm ili više kiše, što bi moglo izazvati velike poplave", rekao je državni meteorolog Benison Estareja te dodao: "Također je moguće da će naše glavne riječne doline poplaviti."
Očekuje se da će Fung-wong pogoditi Filipine samo nekoliko dana nakon što je zemlju poharao tajfun Kalmaegi, koji je ubio 204 osobe i ostavio za sobom kaos prije nego što je pogodio Vijetnam, gdje je odnio još pet života i razorio obalne zajednice.
U subotu je dužnosnica za spašavanje Myrra Daven izjavila za AFP da je nadolazeća oluja prisilila na obustavu operacija potrage i spašavanja u pokrajini u kojoj se dogodilo gotovo 70 posto smrtnih slučajeva uzrokovanih tajfunom Kalmaegi.
"Ne možemo riskirati sigurnost naših spasilaca. Ne želimo da oni postanu sljedeće žrtve", istaknula je te dodala da će se brojka od 57 nestalih osoba u teško pogođenoj pokrajini vjerojatno povećati.
"Još uvijek postoje područja u koja ne možemo prodrijeti. Neki pristupni putevi još su uvijek blokirani zemljom i drugim stvarima", pojasnila je.