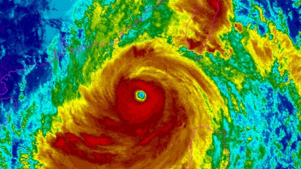
Hong Kong se u utorak priprema za supertajfun Ragasa, najsnažniji tropski tajfun na svijetu ove godine, zbog čega su škole zatvorene, a oko 700 letova otkazano.
Najavio pravnu borbu
Nekad uspješni poduzetnik, danas deložiran iz stana: "Sve su mi oduzeli. Dug je najedanput narastao"
Nakon napada
Ne može se zaustaviti širenje radijacije: Teško oštećena nuklearka Černobil
Sretni listić
Izvučen je Eurojackpot! Evo gdje ide milijunski dobitak
Supertajfun Ragasa ostavio iza sebe razorne posljedice, a neka područja tek čekaju udar - 1
Foto:
Afp
Supertajfun Ragasa ostavio iza sebe razorne posljedice, a neka područja tek čekaju udar - 6
Foto:
Afp
Ragasa, s vjetrovima do 220 km/h, približava se južnoj kineskoj pokrajini Guangdong, priopćio je Hongkonški opservatorij, koji planira podići signal tajfuna na razinu 8, treću najvišu. Očekuju se uraganski udari vjetra i obilne kiše, uz porast razine mora do pet metara, usporediv s razornim tajfunima Hato 2017. i Mangkhut 2018. godine.
Supertajfun Ragasa ostavio iza sebe razorne posljedice, a neka područja tek čekaju udar - 5
Foto:
Afp
Supertajfun Ragasa ostavio iza sebe razorne posljedice, a neka područja tek čekaju udar - 3
Foto:
Afp
Vlasti su stanovnicima podijelile vreće pijeska, a građani su stvarali zalihe hrane, zbog čega su se police u supermarketima brzo ispraznile, a cijene povrća naglo porasle. Hongkonška burza ostat će otvorena unatoč nevremenu.
Supertajfun Ragasa ostavio iza sebe razorne posljedice, a neka područja tek čekaju udar - 7
Foto:
Afp
Supertajfun Ragasa ostavio iza sebe razorne posljedice, a neka područja tek čekaju udar - 4
Foto:
Afp
Supertajfun Ragasa ostavio iza sebe razorne posljedice, a neka područja tek čekaju udar - 2
Foto:
Afp
Ragasa je u ponedjeljak pogodila sjeverne Filipine, gdje su vlasti stavile agencije u stanje pune pripravnosti. Kineske vlasti u Guangdongu i drugim južnim provincijama aktivirale su mjere zaštite od poplava, dok su Macau i Shenzhen zatvorili škole i pripremili skloništa. Tajvan je evakuirao više od 6000 ljudi s ugroženih područja.