FOTO/VIDEO Razorna Melissa danas udara, premijer prestravljen: "Molim se na koljenima"

Podijeli
  • Pripreme za Melissu Foto: Afp
  • Pripreme za Melissu Foto: Afp
  • Pripreme za Melissu Foto: Afp
  • Pripreme za Melissu Foto: Afp
  • Pripreme za Melissu Foto: Afp
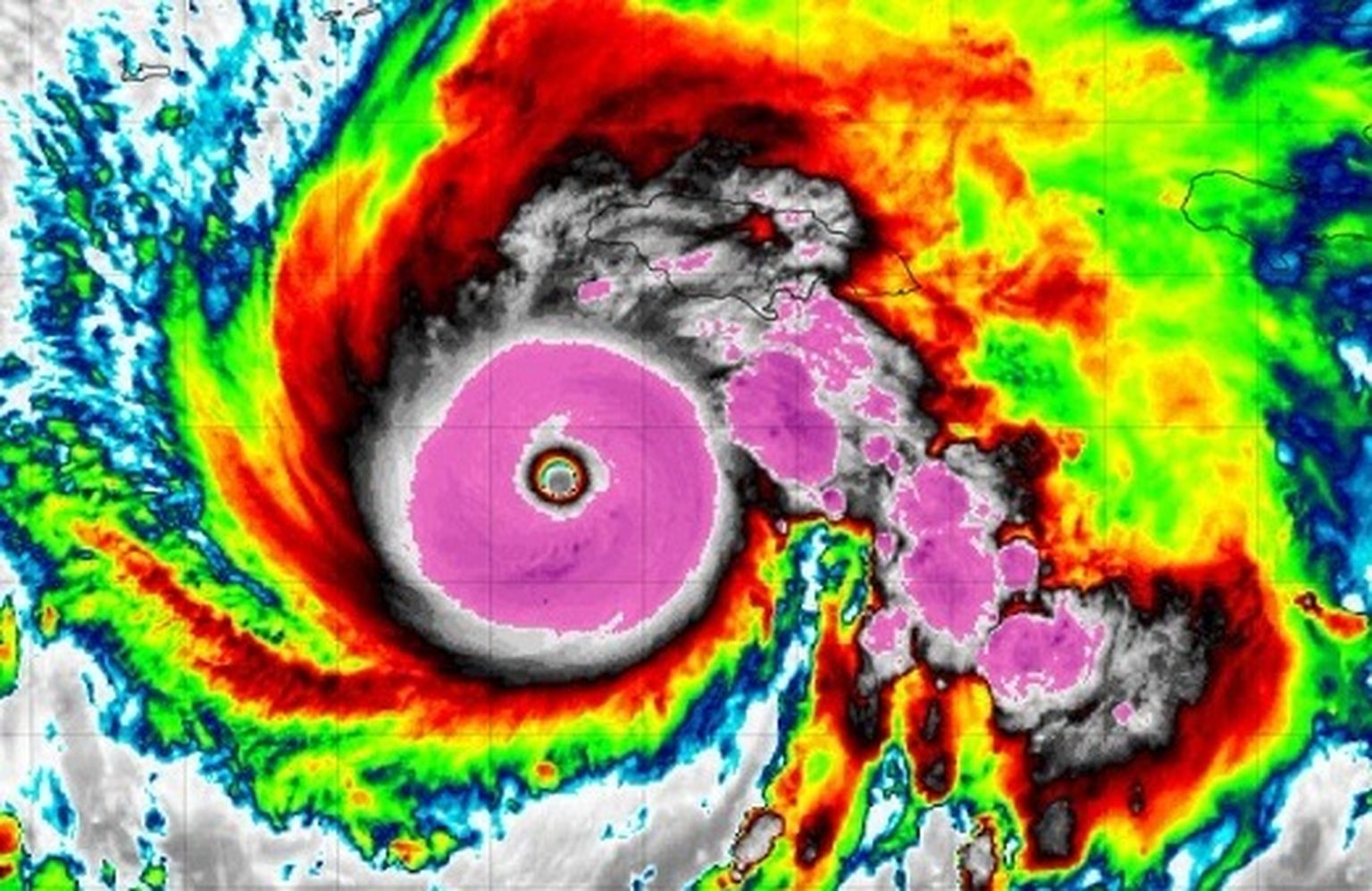
  • Prizor na Melissu Foto: Screenshoot/X
  • Pogledaj i ovo + 0 + 0 + 0

    uragan stoljeća

    Približava im se zastrašujuća Melissa, brzina kretanja jako je loša vijest: "Ne izlazite iz skloništa!"

    + 3 + 3 + 3 + 3

    JAMAJKA NA UDARU

    VIDEO/FOTO Stižu snimke posljedica razornog uragana: "Nemojte se kladiti protiv Melisse, izgubit ćete"

    + 7 + 7 + 7 + 7

    stravične scene

    FOTO Više tornada poharalo zemlju, ima mrtvih: Kuće su uništene, stotine bez struje, stabla iščupana iz korijena

1/6
modal close